Откриха „изгубен свят“ с огромни подводни вулкани

16:40, 12 окт 18 / Свят 25 2010 Шрифт:
Topnovini Автор: Topnovini

Австралийски учени откриха „изгубен свят“ с огромни подводни вулкани край Тасмания, около които гъмжи от морски живот, съобщи Science alert, предаде БТА.

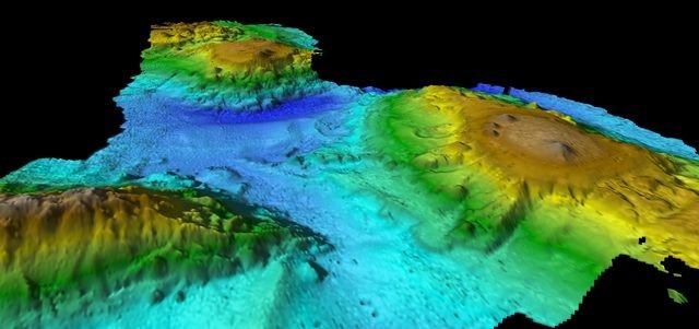
Подводните вулкани са на около 400 км източно от Тасмания. Те се издигат на до 3000 м от дъното, и пак са дълбоко под повърхността. Откритието е на експедиция на австралийската Организация за научно-промишлени изследвания.

„Вулканите са с различна форма, някои са с остри върхове, други са плоски, по тях има малки конични хълмове“, казва д-р Тара Мартин от екипа. „Това е много разнообразен пейзаж и несъмнено там се съсредоточава биологичното разнообразие“, добавя тя.

Сред вулканите учените в експедицията са видели дори гърбати китове и кашалоти. Според специалистите възвишенията им помагат да се ориентират. Вулканите най-вероятно са се образували при отделянето на Австралия и Антарктида преди 30 милиона години.

Вече е планирана нова експедиция, която да изследва терена и морския живот през австралийското лято.

Ключови думи

Добави коментар

Моля попълнете вашето име.
Top Novini logo Моля изчакайте, вашият коментар се публикува
Send successful Вашият коментар беше успешно публикуван.

Реклама