Броят на жертвите на урагана Майкъл достигна 16

09:30, 13 окт 18 / Свят 25 1649 Шрифт:
Topnovini Автор: Topnovini

Броят на жертвите от урагана Майкъл в САЩ се  увеличи до 16 души. За това съобщиха американските власти.

Спасителните екипи започнаха да претърсват най-тежко засегнатите места във Флорида, а достъпът до тях е почти невъзможен заради опустошенията.

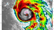
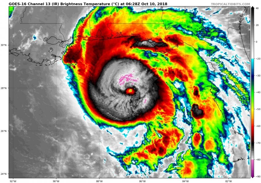
Ураганът Майкъл достигна южния бряг на Съединените щати в сряда. В този момент му беше определена четвъртата категория от пет възможни.

Най-малко 1,5 милиона потребители остават без електричество на източното крайбрежие на Съединените щати, от Флорида до Вирджиния. 

Президентът на САЩ Доналд Тръмп заяви по-рано, че смята да посети най-засегнатите от урагана в началото на следващата седмица.

Ключови думи

Добави коментар

Моля попълнете вашето име.
Top Novini logo Моля изчакайте, вашият коментар се публикува
Send successful Вашият коментар беше успешно публикуван.

Реклама